Pronájem nebytového prostoru • 2000 m² bez realitkyUhlmannstrasse 42, , Bádensko-Württembersko
Uhlmannstrasse 42, , Bádensko-WürttemberskoMHD 4 minuty pěšky • VýtahSkladová a výrobní hala v dopravně výhodné lokalitě, v průmyslové zóně na okraji města s vynikajícím spojením s Bundesstraße 30, pouhé 2 minuty od nejbližšího odbočení.
Rozloha 2000 m²
Moderní skladová hala, rok výstavby 2004
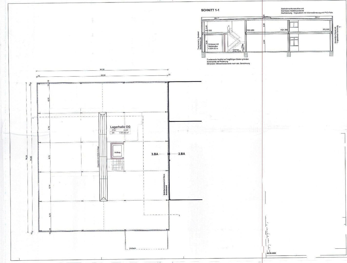
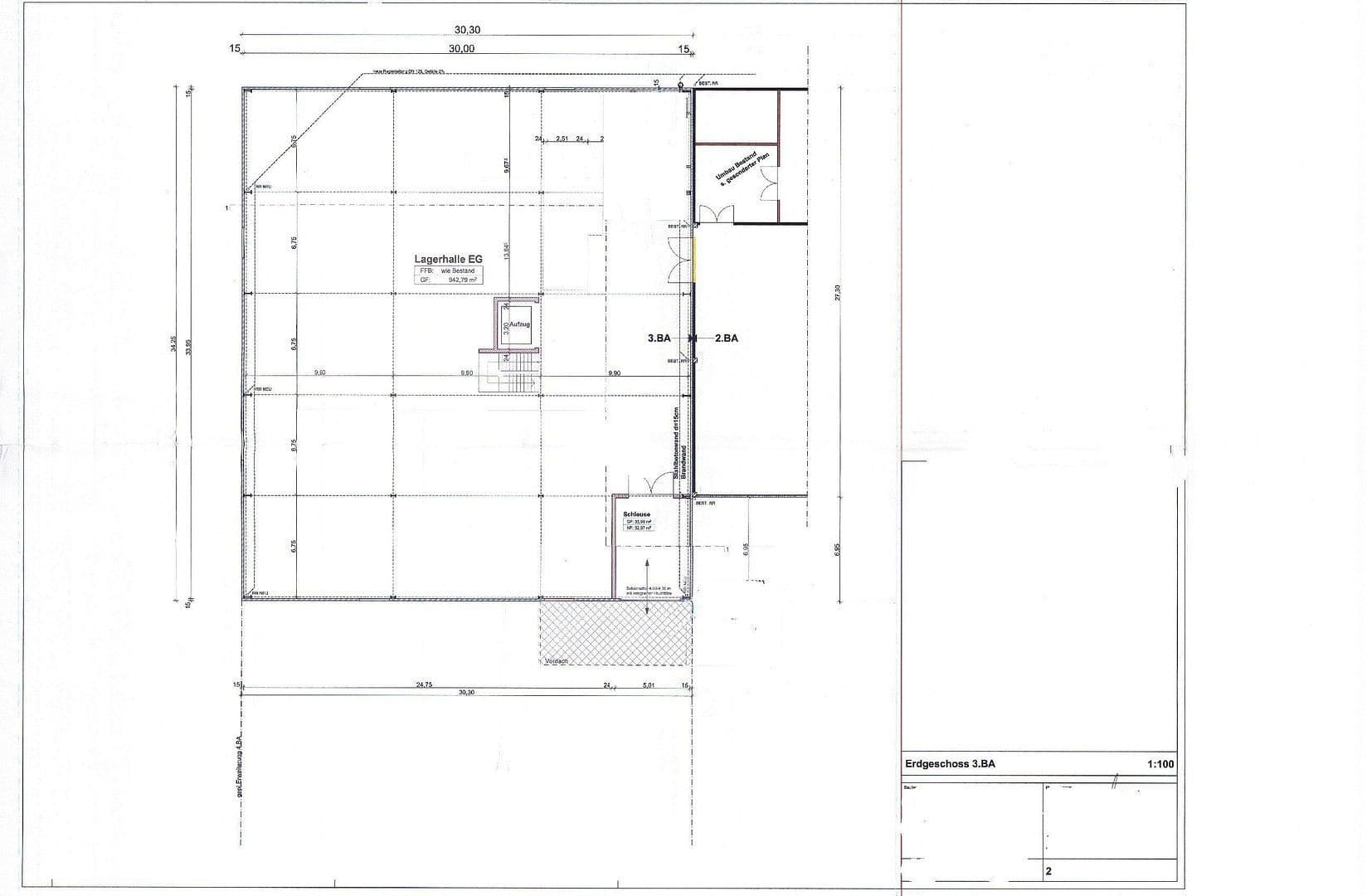
Dvoupatrová, přibližně každý podlaží má okolo 1000 m². Výška prostoru v přízemí min. 4,00 m, v patře min. 2,75 m. K dispozici nákladový výtah s nosností 3 t. Velmi dobré osvětlení, s okny, v patře velká světlovodní kopule ve střeše.
S přístupem pro nákladní automobily, 1 elektrická rolovací vrata s vnitřně řešenou přechodovou místností a rychlodosahovatelnými vraty.
Velká dlážděná volná plocha a volná travnatá plocha před halou.
Typ objektu: Skladová / výrobní hala
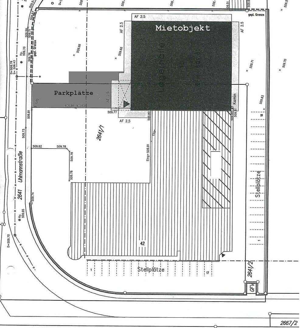
Adresa: Uhlmannstraße 42, 88471 Laupheim
Lokalita: V průmyslové zóně na okraji města s vynikajícím spojením s Bundesstraße 30
Rok výstavby: 2004
Úžitková plocha skladu: 1 989,55 m²
Podlaží: Přízemí & patro s výtahem
Kvalita vybavení: Pečlivě udržované a dobře zachovalé vybavení
Počet parkovacích míst: 7 venkovních parkovacích míst pro osobní automobily
Konstrukce: Ocelová konstrukce
Druh vytápění: Plynové centrální vytápění
Energetická hodnota V-Thermo: 16,70 kWh/(m²*a), A+
Energetická hodnota V-elektřiny: 14,60 kWh/(m²*a), A+
Okna: Hliníková okna s izolačními dvojskly
Střešní tvar: Ploché střešní krytiny
K dispozici k nastěhování od 1. května 2026
Nabízená skladová hala se nachází v dopravně výhodné lokalitě na okraji města, v oblíbené průmyslové zóně Laupheimu. Díky Bundesstraße 30 máte kromě optimální polohy ideální spojení do Biberachu, Ulmu, Ravensburgu a regionu kolem Bodamského jezera, stejně jako přes dálnice A7/A8 z Ulmu i do Memmingenu, Stuttgartu a Mnichova.
Nabízená komerční nemovitost byla postavena v roce 2004 v ocelové konstrukci a nachází se ve velmi dobrém, udržovaném stavu. Hala disponuje dvěma patry s téměř 2 000 m² skladové a výrobní plochy. Přízemí má výšku prostoru přes 4 metry.
Hala je vybavena rolovacími vraty o výšce 4 metry a šířce 3 metry, s vnitřně umístěnou přechodovou místností a rychlodosahovatelnými vraty, což zajišťuje dobrý a bezbariérový přístup. Nákladový výtah s nosností 3 tuny umožňuje bez problémů přepravovat zboží do přibližně 1 000 m² velkého patra, které má výšku stropu 2,6 metru. V přízemí komerční haly je rovněž integrována malá kancelář s prostorem pro 2 pracovní místa.
Parametry nemovitosti
| Stáří | Nad 50 let | 
|---|---|
| Stav | Dobrý | 
| Plocha nebytového prostoru | 2 000 m² | 
| Dostupné od | 1. 5. 2026 | 
|---|---|
| Číslo inzerátu | 958306 | 
| Cena za jednotku | 0 € / m2 | 
Co tato nemovitost nabízí?
| MHD 4 minuty pěšky | 
| Výtah | 
V okolí nemovitosti najdete
Stále hledáte to pravé?
Nastavte si hlídacího psa. Nabídky vybrané na míru dostanete souhrnně 1× denně e-mailem. S Premium profilem máte k ruce hlídačů rovnou 5 a když se něco objeví, informují vás obratem.



























