Prodej pozemku • 1200 m² bez realitkyLipnice nad Sázavou - Lipnice nad Sázavou, Kraj Vysočina
Lipnice nad Sázavou - Lipnice nad Sázavou, Kraj VysočinaCena2 760 000 Kč
Tato nemovitost již od 11 571 Kč měsíčně s roční úrokovou sazbou od 4,79 %.
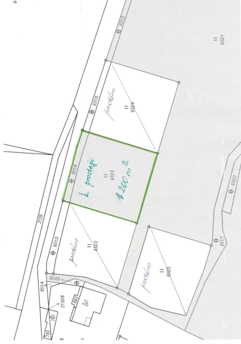
Nabízím k prodeji stavební pozemek o rozloze 1200 m² pro výstavbu rodinného domu.
Pozemek je na okraji Lipnice nad Sázavou s výhledem na hrad, situovaný na jižní stranu.
Na okraj pozemku bude letos přivedeny přípojky na elektřinu a vodu. Kanalizace je v plánu města.
Parametry nemovitosti
| Dostupné od | 12. 3. 2026 |
|---|---|
| Typ pozemku | Stavební |
| Plocha pozemku | 1 200 m² |
| Číslo inzerátu | 1000560 |
|---|---|
| Vlastnictví | Osobní |
| Cena za jednotku | 2 300 Kč / m2 |
Co tato nemovitost nabízí?
V okolí nemovitosti najdete
Vzdálenost k:
Cena2 760 000 Kč
Tato nemovitost již od 11 571 Kč měsíčně s roční úrokovou sazbou od 4,79 %.



