Prodej pozemku • 5300 m² bez realitkyWorms Worms Rheinland-Pfalz 67549
Worms Worms Rheinland-Pfalz 67549MHD 3 minuty pěškyNíže naleznete český překlad textu:
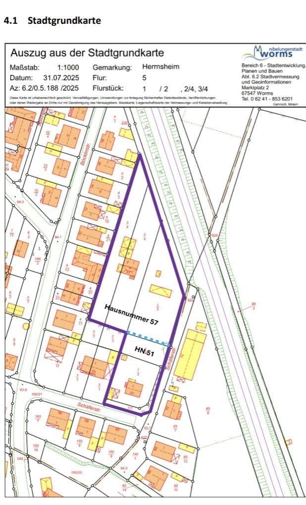
BAUGRUNDSTÜCK – Město Worms – Vybudování až 20 kvalitních bytových jednotek na pozemku o rozloze 5 300 m² (obrázky – možný, optimalizovaný způsob zastavění areálu)
VÝSLOVNĚ – ŽÁDNÍ KONTAKTY NA REALITNÍ KANCELÁŘE NEBO STAVEBNÍ ZÁSTUPCE ETC. NENÍ VÍTANÉ – § 7 UWG
KVŮLI ROZSAHU CELÉHO PROJEKTU DOCHÁZÍ K PRODEJI JEDINĚ STAVEBNÍ FIRMĚ
Nabízíme Vám dva sousedící pozemky v Wormsu o velikosti cca 5 300 m², které se nacházejí jen několik minut od centra v klidné obytné části (rodinné domy pro jednu až dvě rodiny) a mají velmi dobrou autobusovou dopravu mimo jiné ke klinice a hlavnímu nádraží. I na kole je centrum dosažitelné za pouhých pět minut.
Celý pozemek je z topografického hlediska převážně rovinatý, mírně klesající směrem k severní špičce pozemku.
Pozemky jsou zcela nezatížené a bez nájemních či pachtovních vztahů.
Zkouška půdy (hloubka 4 m) z roku 2022 na jednom z pozemků potvrdila nezatíženou půdu třídy Z0, půda je únosná.
Na pozemcích se nachází stávající stavby, které musí ustoupit novému zastavění.
Železniční trať prochází na 2,50 m vysokém železničním hrázi ve směru severovýchod. V tomto úseku byla od železnice postavena účinná a vizuálně přitažlivá zvuková bariéra o výšce dvou metrů.
Obecně je před zastavěním v blízkosti železnice nutné získat posudek o hluku, který se předkládá stavebnímu úřadu spolu se stavebním návrhem. V tomto kontextu se doporučuje kubistický stavební styl se plochou střechou (viz také příklady zastavění), protože tato forma stavby poskytuje nejvyšší zvukovou ochranu, na rozdíl od budov s sedlovými střechami.
Menší, jižně umístěný pozemek (1 345 m²) je kompletně inženýrsky řešen. Větší pozemek (3 926 m²) byl dosud připojen pouze na elektrickou síť. Ostatní napojení a rozvody nacházejí se v přilehlé slepé uličce. Nutné úpravy nadzemních i podzemních komunikací a cest jsou na odpovědnosti budoucího investora.
Po předběžné dotazníkové analýze ohledně možných „STAVEBNÍCH OKEN“ lze na větším pozemku umístit sedm řadových domů (14 bytových jednotek) – harmonicky a dopravně a technicky proveditelné – Umístění dvořanových domů bylo počítáno s šířkou 11 m a hloubkou 12 m. Tyto rozměry jsou pouze orientační a lze je samozřejmě v rámci možností měnit.
Samozřejmě je při předběžném plánování možné zohlednit také prostor pro hasičský stanoviště, možnost obrácení vozidel, místo pro odvoz odpadků a případně vybudování společného energetického uzlu na okraji pozemku.
Každá polovina řadového domu by disponovala garáží a parkovacím místem, takže řešení pro elektromobily by bylo zajištěno.
Obecně jsou povoleny všechny typy střešních konstrukcí a počet podlaží až 2+ (přízemí plus jedno patro). Výška sedla nesmí přesáhnout 10 m. Pro tuto oblast neexistuje územní plán, a proto se uplatňuje § 34 stavebního zákona (budovy se musí začlenit do blízkého okolí).
U menšího pozemku nebyla provedena žádná předběžná konzultace. Nicméně zde lze bez problémů postavit dva řadové domy (4 bytové jednotky) s odstupem 4 m od hranice pozemku – s ohledem na potřebné odstranění komunikací.
V rámci nových celostátních stavebních předpisů (Bauturbo) by mohlo být díky novému § 34 odst. 3b stavebního zákona vybudováno případně také dvě budovy, z nichž každá by obsahovala tři vertikálně oddělené bytové jednotky, tedy celkem 6 bytových jednotek. § 34 odst. 3b stavebního zákona umožňuje žadatelům odchýlit se od zásady „začlenění do blízkého okolí“, přičemž referenční budova v přímém okolí by měla být o 1,5 m užší.
Město Worms stanovilo při aplikaci nových stavebních předpisů (Bauturbo) směrnice, které je třeba dodržet.
viz výše.
S ohledem na uvedené stavební požadavky by bylo možné velmi rychle podat žádost o stavební povolení a zahájit zastavění.
Byli bychom potěšeni, kdybychom vzbudili Váš zájem.
V případě, že působíte jako projektový developer pro developerskou společnost, jsme Vám kdykoliv k dispozici pro případné dotazy – prostřednictvím portálu – a rádi Vám zašleme náš podrobný investiční záměr.
Parametry nemovitosti
| Číslo inzerátu | 1011808 |
|---|---|
| Cena za jednotku | 0 € / m2 |
| Plocha pozemku | 5 300 m² |
|---|
Co tato nemovitost nabízí?
| MHD 3 minuty pěšky |







