Pronájem pozemku • 776 m² bez realitkyDobrovského, Ostrava - Přívoz, Moravskoslezský kraj
Dobrovského, Ostrava - Přívoz, Moravskoslezský krajMHD 5 minut pěškyMěsíční nájemné6 000 Kč
+ Poplatky za služby1 Kč
Máte o nabídku zájem?
Ušetřete 6 000 Kč na provizi a komunikujte se všemi majiteli.
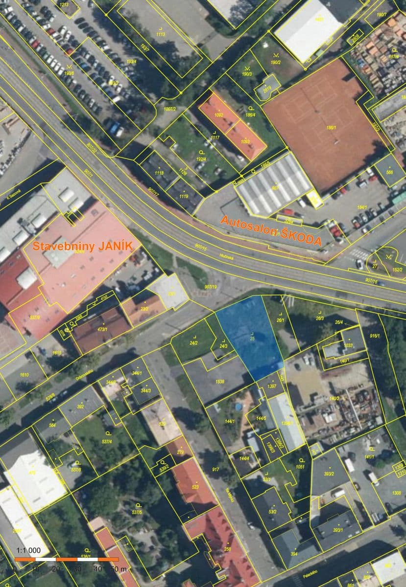
Nabízím k dlouhodobému pronájmu lukrativní stavební parcelu číslo 25, Ostrava-Přívoz. Pozemek se nachází u hlavní silnice vedle stavebnin JANÍK. Rozloha parcely je 776m2. Dle ÚP, je parcela vedena: plochy smíšené - bydlení a služby. Elektřina je na pozemku.
Nájemné 6000Kč/měs
Parametry nemovitosti
| Dostupné od | 17. 4. 2022 |
|---|---|
| Číslo inzerátu | 714438 |
| Umístění | Klidná část |
| Plocha pozemku | 776 m² |
| Podlaží | 1. podlaží |
|---|---|
| Typ pozemku | Stavební |
| Plocha | 776 m² |
| Cena za jednotku | 7,73 Kč / m2 |
Co tato nemovitost nabízí?
| MHD 5 minut pěšky |
V okolí nemovitosti najdete
MHDDůl Odra
🚶 413 m (5 min)
PoštaOstrava 2
🚘 1 321 m (4 min)
ObchodLidl
🚘 924 m (2 min)
BankaKomerční banka
🚘 1 874 m (5 min)
RestauraceAsijské bistro
🚘 987 m (3 min)
Lékárnamoje lékárna
🚘 930 m (2 min)
ŠkolaZákladní škola Nádražní
🚘 1 997 m (5 min)
Mateřská školaMateřská škola Šafaříkova
🚘 1 094 m (3 min)
SportovištěSportovní hala SAREZA
🚘 1 953 m (4 min)
HřištěDopravní hřiště
🚘 1 263 m (3 min)
Vzdálenost k:
Měsíční nájemné6 000 Kč
+ Poplatky za služby1 Kč
Máte o nabídku zájem?
Ušetřete 6 000 Kč na provizi a komunikujte se všemi majiteli.
Stále hledáte to pravé?
Nastavte si hlídacího psa. Nabídky vybrané na míru dostanete souhrnně 1× denně e-mailem. S Premium profilem máte k ruce hlídačů rovnou 5 a když se něco objeví, informují vás obratem.





