
Inzerát již není v nabídce
Prodej pozemku • 843 m²Hluboká nad Vltavou - Hluboká nad Vltavou, Jihočeský kraj
Hluboká nad Vltavou - Hluboká nad Vltavou, Jihočeský krajMHD 9 minut pěškyTato nemovitost již od 25 699 Kč měsíčně s roční úrokovou sazbou od 4,29 %.
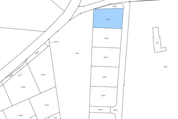
Prodej stavebního pozemku ve vyhledávaná lokalitě Hluboká nad Vltavou o velikosti 843 m². Pozemek je určený k výstavbě rodinného domu. Elektřina je přivedena do pilířku na hranici pozemku. Na pozemku jsou šachtami ukončeny přípojky vodovodu, splaškové i dešťové kanalizace. Příjezdová cesta je vyasfaltovaná a celá část osvětlena veřejným osvětlením. Veškerá občanská vybavenost je v obci Hluboká nad Vltavou - základní a mateřská škola, pošta, kino, obchody, restaurace, autobusové a vlakové stanice. Pozemek se nachází v klidné části města, které zajišťuje soukromí a zároveň veškerou občanskou vybavenost v docházkové vzdálenosti. Možnost výstavby na pozemcích ihned. V případě zájmu je možné navrhnout konkrétní realizaci rodinného domu dle Vašich představ. Možnost přikoupit vedlejší pozemek o velikosti 451 m².pozemky-hluboka.cz/
Parametry nemovitosti
| Stav | Novostavba |
|---|---|
| Číslo inzerátu | 815768 |
| Umístění | Klidná část |
| Cena za jednotku | 7 709 Kč / m2 |
| Konstrukce budovy | Smíšená |
|---|---|
| Vlastnictví | Osobní |
| Plocha pozemku | 843 m² |
Co tato nemovitost nabízí?
| MHD 9 minut pěšky |
V okolí nemovitosti najdete
Tato nemovitost již od 25 699 Kč měsíčně s roční úrokovou sazbou od 4,29 %.
Stále hledáte to pravé?
Nastavte si hlídacího psa. Nabídky vybrané na míru dostanete souhrnně 1× denně e-mailem. S Premium profilem máte k ruce hlídačů rovnou 5 a když se něco objeví, informují vás obratem.