Prodej pozemku • 35125 m² bez realitkyNové Město nad Metují - Vrchoviny, Královéhradecký kraj
Tato nemovitost již od 1 Kč měsíčně s roční úrokovou sazbou od 4,79 %.
LETIŠTĚ 189Kč / m2
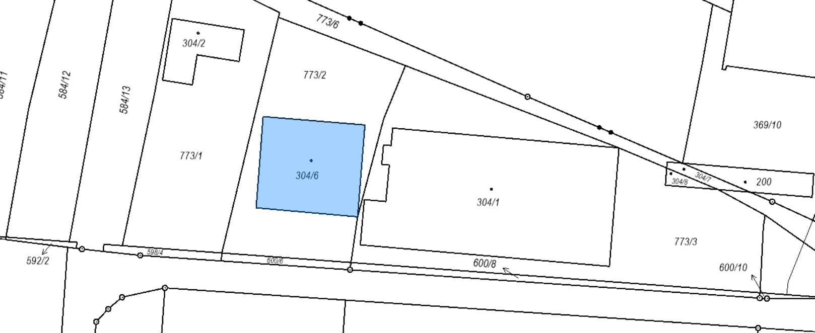
Nabízím k prodeji jedinečný souhrn 3 komerčních pozemků letiště v Novém Městě nad Metují o celkové rozloze 35 125 m². Pozemky jsou dlouhodobě pronajaté provozovateli letiště za cenu vyšší desítky tis. Kč ročně. Pro provoz letiště jsou nepostradatelné, jedná se o kombinaci zastavěných ploch a hlavní vzletové dráhy. Pozemky jsou osvobozené od daně z nemovitosti.
Jedná se o unikátní investiční příležitost s možností významného vlivu na provoz letiště. Díky osobnímu vlastnictví přebírám veškerou zodpovědnost, což Vám zajišťuje transparentnost a jistotu při uzavírání obchodu. V případě zájmu mě prosím kontaktujte skrz zprávy či komunikační platformu.
Parametry nemovitosti
| Dostupné od | 20. 1. 2026 |
|---|---|
| Typ pozemku | Komerční |
| Plocha pozemku | 35 125 m² |
| Číslo inzerátu | 983030 |
|---|---|
| Vlastnictví | Osobní |
| Cena za jednotku | 0,01 Kč / m2 |
Co tato nemovitost nabízí?
V okolí nemovitosti najdete
Tato nemovitost již od 1 Kč měsíčně s roční úrokovou sazbou od 4,79 %.



