Prodej pozemku • 362 m² bez realitkyVon-Nagel-Str./Zum Sundern/Goldbrink, , Severní Porýní-Vestfálsko
Von-Nagel-Str./Zum Sundern/Goldbrink, , Severní Porýní-VestfálskoMHD 1 minuta pěškySháníte pozemek pro váš vysněný dvojrodinný dům nebo dvojdům? Máme pro vás perfektní nabídku!
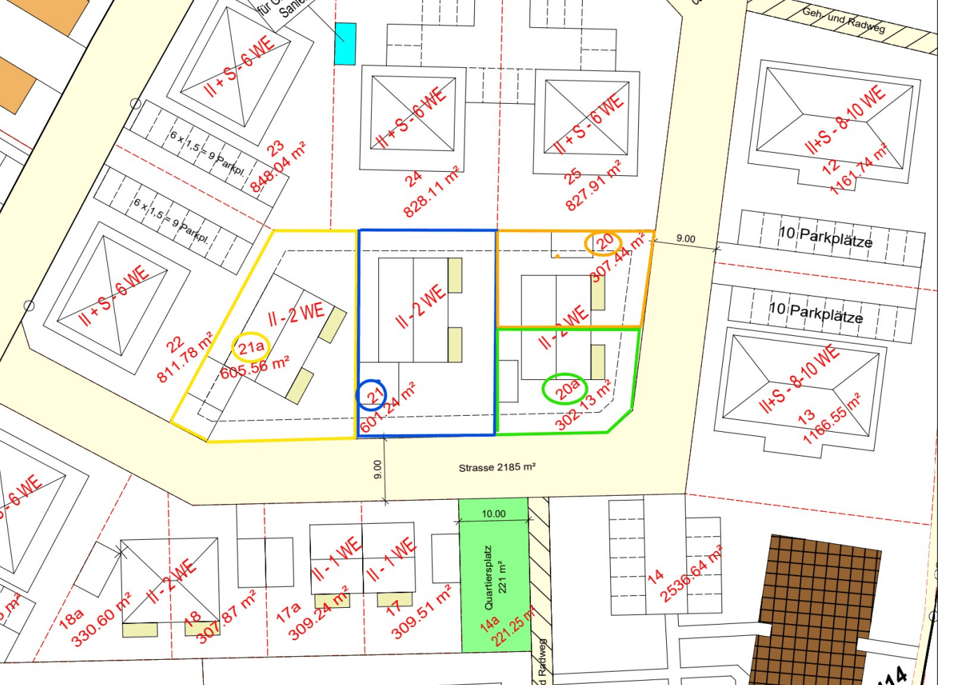
Nabízíme 4 pozemky v Oelde na bývalém areálu Hammelmann, ideální pro výstavbu dvou dvojrodinných domů a jednoho dvojdomu resp. dvou polovin dvojdomu. Pozemky jsou:
- Pozemek 20: POLOVINA DVOJDOMU cca 307 m² – Cena: 112 500 EUR
- Pozemek 20a: POLOVINA DVOJDOMU cca 302 m² – Cena: 112 500 EUR
- Pozemek 21: DVOJRODINNÝ DŮM cca 601 m² – Cena: 210 000 EUR
- Pozemek 21a: DVOJRODINNÝ DŮM cca 606 m² – Cena: 198 800 EUR
Vybavení:
• Stavebně připravený
• Územní plán je k dispozici
• Včetně stavebního povolení (v procesu schvalování)
• Přímý nákup od vlastníka
• Bez závazku developera
Máte-li zájem o některý z pozemků, neváhejte nás kontaktovat. Těšíme se na vaši poptávku!
Pozemky se nacházejí v klidné a oblíbené obytné oblasti s výborným spojením do města a okolních obcí. Na přání může být váš vysněný dům postaven jako klíč k nastěhování.
Parametry nemovitosti
| Dostupné od | 14. 3. 2026 |
|---|---|
| Plocha pozemku | 362 m² |
| Číslo inzerátu | 991849 |
|---|---|
| Cena za jednotku | 311 € / m2 |
Co tato nemovitost nabízí?
| MHD 1 minuta pěšky |
V okolí nemovitosti najdete
Stále hledáte to pravé?
Nastavte si hlídacího psa. Nabídky vybrané na míru dostanete souhrnně 1× denně e-mailem. S Premium profilem máte k ruce hlídačů rovnou 5 a když se něco objeví, informují vás obratem.
