
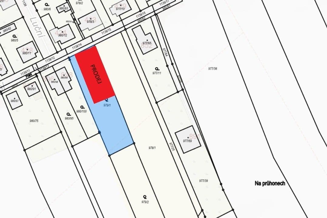
Prodej pozemku • 500 m² bez realitkyPolní, Lázně Bohdaneč - Lázně Bohdaneč, Pardubický kraj
Tato nemovitost již od 15 341 Kč měsíčně s roční úrokovou sazbou od 4,59 %.
Nabízím k prodeji stavební pozemek o výměře cca 500 m² v atraktivní lokalitě Lázně Bohdaneč – ulice Polní.
Pozemek se nachází v klidné, již zastavěné části města, v sousedství rodinných domů. Má přímý přístup z veřejné komunikace a je určen k výstavbě rodinného domu.
📐 Parametry pozemku
výměra: cca 500 m²
tvar: pravidelný, vhodný pro výstavbu RD
přístup: přímo z ulice Polní
územní plán: plochy bydlení – rodinné domy
pozemek bude oddělen geometrickým plánem
🌳 Lokalita
Lázně Bohdaneč jsou vyhledávanou lokalitou díky klidu, lázeňskému prostředí a výborné dostupnosti do Pardubic.
Samozřejmostí je kompletní občanská vybavenost – školy, školky, obchody, restaurace i služby.
💰 Cena
7490 Kč/m²
(konečná cena dle dohody a přesné výměry po GP)
Parametry nemovitosti
| Dostupné od | 5. 4. 2026 |
|---|---|
| Typ pozemku | Stavební |
| Plocha pozemku | 500 m² |
| Číslo inzerátu | 1009123 |
|---|---|
| Vlastnictví | Osobní |
| Cena za jednotku | 7 490 Kč / m2 |
Co tato nemovitost nabízí?
V okolí nemovitosti najdete
Tato nemovitost již od 15 341 Kč měsíčně s roční úrokovou sazbou od 4,59 %.
Stále hledáte to pravé?
Nastavte si hlídacího psa. Nabídky vybrané na míru dostanete souhrnně 1× denně e-mailem. S Premium profilem máte k ruce hlídačů rovnou 5 a když se něco objeví, informují vás obratem.





