
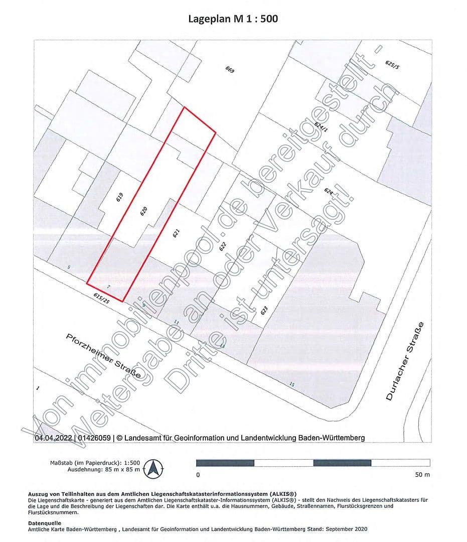
Prodej domu • 320 m² bez realitkyPforzheimerstraße 7, , Bádensko-Württembersko
Pforzheimerstraße 7, , Bádensko-WürttemberskoMHD 1 minuta pěškyNa prodej je atraktivní stavební pozemek s bytem, se stávající budovou, v prvotřídní lokalitě Ettlingenu. Nemovitost nabízí vysoký rozvojový potenciál jak pro investory a developery, tak i pro soukromé osoby – a to zejména díky již pozitivně vyřízené předběžné žádosti o stavební povolení – pro přístavbu, pro demolici nebo částečnou demolici a novostavbu obytného komplexu včetně dvorkového domu s celkem 8 možnými obytnými jednotkami. Stavební povolení bude uděleno v rámci sousedního zástavby podle §34 BauGB.
Nejlepší poloha v Ettlingenu, přímo za městskou zdí. Všechno je dosažitelné pěšky:
• 200 m do centra města
• Autobusové a vlakové spojení – nejbližší zastávka „Erbprinz“
• Přípojka na dálnici je k dispozici
Aktuálně není nemovitost rekonstruována. Objekt je určen k demolici a novostavbě (se schválenou předběžnou žádostí o stavební povolení) nebo k rekonstrukci. Viz expozice včetně schválené předběžné žádosti o stavební povolení.
Kromě skvělé polohy v Ettlingenu nabízí tento dům atraktivní možnosti odepisování pro jakéhokoli uživatele (vlastní bydlení nebo pronájem) a pro jakoukoli stavební úpravu (demolice, novostavba nebo rekonstruování):
1. Demolice a novostavba
• QNG-Standard: možnost odepsání 10 % během prvních 4 let a 5 % od 5. roku – což odpovídá celkovému odepsání 75 % za 11 let.
2. Modernizace
• Objekt se nachází v území určeném pro revitalizaci (Sanierungsgebiet) na Schillerstraße/Pforzheimerstraße v Ettlingenu, což umožňuje vysoký odpisový potenciál z výrobních nákladů.
• NEJDE JEDNÁ O PAMÁTNÍK.
• Revizační odpisy výrobních nákladů až 90 % za 11 let.
Tento balíček je navíc doplněn o možnost získání úvěrů s nízkým úrokem od KFW (100–150 tis. € na obytnou jednotku) plus atraktivní dotace ke splácení.
Díky energetickému průkazu s označením „H“ lze kromě výše zmíněných dotací požádat o další dotaci na splácení ve výši 10 % navíc.
Podrobné informace viz expozice.
Parametry nemovitosti
| Stáří | Nad 50 let |
|---|---|
| Číslo inzerátu | 958440 |
| Užitná plocha | 320 m² |
| Celkem podlaží | 3 |
| Dostupné od | 26. 10. 2025 |
|---|---|
| PENB | G - Mimořádně nehospodárná |
| Plocha pozemku | 345 m² |
| Cena za jednotku | 1 672 € / m2 |
Co tato nemovitost nabízí?
| MHD 1 minuta pěšky |
V okolí nemovitosti najdete
Stále hledáte to pravé?
Nastavte si hlídacího psa. Nabídky vybrané na míru dostanete souhrnně 1× denně e-mailem. S Premium profilem máte k ruce hlídačů rovnou 5 a když se něco objeví, informují vás obratem.




