Prodej nebytového prostoru • 1455 m² bez realitkyAm Westbahnhof 3, , Dolní Sasko
Am Westbahnhof 3, , Dolní SaskoMHD 2 minuty pěšky • ParkováníProdám obchodní centrum umístěné centrálně u B75 přímo v Tostedtu.
1.455 m² celková podlahová plocha budovy
100 vyhrazených parkovacích míst
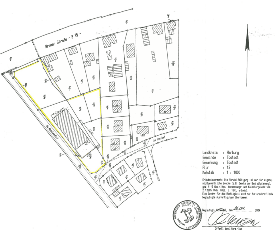
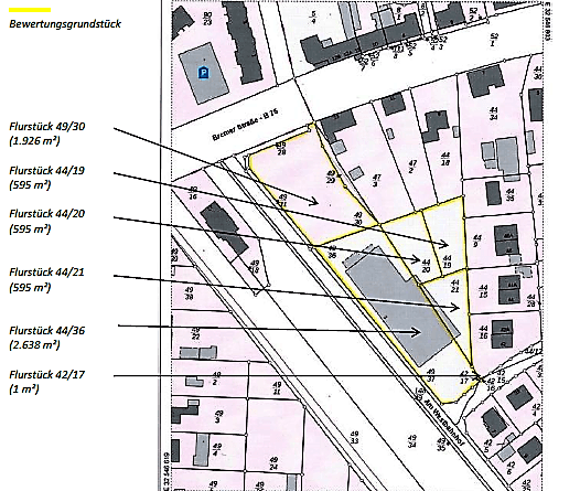
6.350 m² pozemku
Volná plocha/parkoviště přístupná nákladním vozidlům
Vjezd na parkoviště/budovu zabezpečen brankou
Autobusová zastávka přímo u objektu
Bez provize, přímo od majitele
Centrálně u B75 přímo v Tostedtu
Autobusová zastávka přímo u objektu
Objekt aktuálně sestává ze 2 jednotek:
1x 55 m² (50 m² pro prodejní plochu + 5 m² sociální prostory)
1x 1.400 m² (900 m² prodejní plocha + 50 m² sociální prostory + 350 m² skladová plocha)
Alarmový systém
Klimatizace
Nakládání a vykládání z nákladních vozidel
Nakládací rampa pro nákladní vozidla
Ohraničeno brankovou konstrukcí
Plynové topení (na vodu/vzduch)
D + H toalety
Kuchyně
Kancelář vedoucího trhu
Odsávání kouře
Nouzové únikové dveře
Podlahová krytina: vysoce zátěžové dlaždice v tloušťce pro zatížení 7,5 tuny/m²
Územní plán: Obchodní centrum s povolenou prodejní plochou až 1.650 m².
Podle stavebního úřadu lze objekt přestavět na přibližně 12.000 m² obytné plochy (GRZ 0,4 a přizpůsobení okolní zástavbě).
Parametry nemovitosti
| Stáří | Nad 50 let |
|---|---|
| Číslo inzerátu | 971720 |
| Plocha pozemku | 6 350 m² |
| Stav | Dobrý |
|---|---|
| Plocha nebytového prostoru | 1 455 m² |
| Cena za jednotku | 1 375 € / m2 |
Co tato nemovitost nabízí?
| Bezbariérový přístup | |
| Parkování |
| MHD 2 minuty pěšky |
V okolí nemovitosti najdete
Stále hledáte to pravé?
Nastavte si hlídacího psa. Nabídky vybrané na míru dostanete souhrnně 1× denně e-mailem. S Premium profilem máte k ruce hlídačů rovnou 5 a když se něco objeví, informují vás obratem.































