Prodej pozemku • 1268 m² bez realitky, Dolní Sasko
Stejně zajímavý jak pro developery, stavební podniky, tak i pro soukromé investory.
+++++++++++++++++++++++++++++++++++++++++++++++++++++++
Nemovitost je prodávána formou veřejné dražby. Minimální cena činí 79.000 €. Při podání nabídky se žádá o předložení koncepce následného využití. Konečný termín pro předložení nabídky je 31.03.26. Prohlídky jsou možné po domluvě.
+++++++++++++++++++++++++++++++++++++++++++++++++++++++
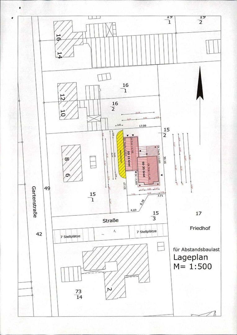
Pozemek (1.268 m²) je zastavěn bývalou kaplí (původně dvojdom) a přístavbou. Parkovací místa a cesty jsou zpevněné. Nezastavěná a zpevněná část je upravena jako trávník.
Kaple byla zbavena svého původního využití a je prázdná, budova je určena ke zbourání a v současnosti je zabezpečena stavebním plotem.
Územní plán:
V územním plánu obce Geeste se hodnotný pozemek nachází v oblasti, která je vyznačena jako smíšená stavební plocha (GFZ 0,4).
Vnitřní oblast § 34 BauGB:
Pro oblast, kde se objekt nachází, neexistuje závazný stavební plán. Podle informací obce Geeste spadá pozemek ohledně jeho možností stavebního využití do oblasti, jejíž přípustnost se řídí § 34 BauGB (přípustnost projektů v souvisle zastavěných obcích). Neexistuje žádná místní vyhláška podle § 34 BauGB.
Podle § 34 BauGB je zde projekt povolen, pokud se svým druhem a rozsahem, stavebním využitím, stavebním stylem a zastavěnou plochou pozemku začlení do charakteru bezprostředního okolí a pokud je zajištěno připojení k inženýrským sítím. Na základě toho je povolena jednopodlažní obytná výstavba. Další informace a závazná rozhodnutí o povoleném stavebním využití pozemku mohou být vydána pouze příslušným stavebním úřadem.
Příspěvky na inženýrské sítě a obecní poplatky:
Podle informací obce Geeste již není na tento objekt nutné platit příspěvky na inženýrské sítě dle stavebního zákoníku pro stávající zařízení. Práce na rozšíření silnic se podle informací obce Geeste v dohledné době neočekávají.
Práva a zatížení:
Zápisy v katastru:
V oddílu II katastru, dle elektronického výtisku katastru vydaného katastrálním soudem v Meppenu, nejsou uvedeny žádné zápisy.
Zatížení stavbami:
Seznam zatížení budov je veden okresním úřadem Emsland. Podle informací okresu je na objektu evidováno nějaké zatížení budov – viz fotografie.
Na pozemku nesmí být provozovány žádné gastropodniky, jejichž primárním účelem je servírování alkoholu, diskotéky, herny, zábavní podniky se sexuálním podtextem, sexshopy, ani žádné zařízení či provozy, které by nad rámec zákonných mezí obtěžovaly okolí hlukem, výpary, kouřem či jinak.
Objekt se nachází v části Osterbrock obce Geeste, v ulici Gartenstraße, která je určena pro místní obyvatele.
Regionální územní plán pro okres Emsland určuje Dalum jako hlavní místo v rámci obce s funkcí základního centra. Obec má přibližně 11.400 obyvatel.
Místo Dalum se nachází západně od spolkové silnice B 70, přibližně uprostřed mezi městy Meppen a Lingen. Obec zde má nádraží na federální železniční trati Rheine – Emden, které se nachází přibližně 500 m od prodávaného objektu a nabízí hodinové spojení v obou směrech.
Parametry nemovitosti
| Číslo inzerátu | 984314 |
|---|---|
| Cena za jednotku | 62 € / m2 |
| Plocha pozemku | 1 268 m² |
|---|
Co tato nemovitost nabízí?
| MHD 3 minuty pěšky |
V okolí nemovitosti najdete
Stále hledáte to pravé?
Nastavte si hlídacího psa. Nabídky vybrané na míru dostanete souhrnně 1× denně e-mailem. S Premium profilem máte k ruce hlídačů rovnou 5 a když se něco objeví, informují vás obratem.






